Appartamento Bari carbonara in C.V. Emanuele II- In asta

50.250 €
76,22 m²
Superficie
3
Locali
2
Camere
1
Bagni
in asta
stabile / palazzo
Bari [Carbonara - Ceglie]
Descrizione
Immobile sito in Bari - Carbonara
Abitazione di vecchia costruzione edificata in origine prima del 1967 con
struttura in muratura portante e volte a padiglione. Sita in Bari-Carbonara,
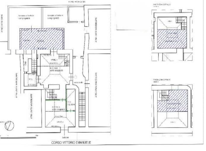
attualmente composta da: ingresso in vano soggiorno (soppalcato senza pratica edilizia), bagno accessibile dal soggiorno, zona le(o (con deposito e zona soppalcata senza pratica edilizia), con affaccio su Corso Vittorio Emanuele e relativo balcone . Terrazzo a livello in comproprietà accessibile su lato interno e da vano scala condominiale. Vano con cucina realizzato abusivamente su terrazzo a livello in comproprietà. Lastrico solare di uso esclusivo con scala di accesso dal terrazzo a livello. Superficie commerciale mq.73,32. Superficie mq.41,70. Condizioni interne discrete, assenza di conformità impianti , presenza di abusi non sanabili. Ape in Classe G

Asta pubblicata per la 1 volta

EXPERT IN ASTA è una piattaforma dedicata alle Aste giudiziarie nella tua provincia .
Sul nostro sito trovi tutti gli immobili presenti in asta nella provincia di bari
Proposta immobiliare in asta. Info dettagliate in agenzia o telefonicamente.

Possibilità’ di Mutuo al 100% sugli immobili in asta con banche convenzionate

Per maggiori informazioni puoi contattare il nostro referente di zona

SU QUESTO IMMOBILE E’ POSSIBILE:

- Mutuo al 100%
- Visita Interni
- NO Oneri Notarili
- Nessuna Ipoteca
- Agevolazione Prima Casa

Le foto pubblicate potrebbero non corrispondere all'immobile specifico,puoi visionare tutti i documenti ufficiali presso la nostra filiale.

SERVIZI OFFERTI :

1. PRIMA CONSULENZA
Appuntamento presso Filiale con consulente asta dove verrò inserita la sua richiesta immobiliare ( le verranno periodicamente inviati immobili in base alla sua richiesta

2. MEDIAZIONE CREDITIZIA
Servizio esclusivo con valutazione del credito tramite i colleghi in ufficio con studio di fattibilità mutuo per la partecipazione in asta con mutuo fino al 100%

3. ASSISTENZA TECNICO - LEGALE
- Ricerca Immobili ed invio settimanale per email
- Studio della perizia e della documentazione
- Accertamenti catastali per eventuali abusi edilizi
- Accompagnamento Visita Immobile
- Disbrigo pratiche per la partecipazione
- Assistenza Legale il giorno della vendita presso il tribunale o ufficio del delegato asta
- Rilascio del decreto di trasferimento in tempi brevi
- Assistenza per il Saldo Prezzo
- Recupero imposte post asta
- Assistenza alla Consegna Immobile

Per maggiori informazioni puoi contattare il nostro referente di zona

Si precisa che il presente annuncio è volto alla promozione di servizi tecnico-immobiliari e di accompagnamento in asta e non costituisce in alcun modo pubblicità volta alla vendita dell’immobile o alla sua intermediazione..
Il servizio offerto, aggiuntivo e di natura consulenziale, non osta alla libera e gratuita partecipazione in asta così come previsto dalla legge.
Caratteristiche principali
Codice:
V000757 BA
Città:
Bari (Carbonara - Ceglie)
Categoria:
Stabile / Palazzo
Locali:
3
Camere:
2
Bagni:
1
Mq:
76,22
Terrazzi:
1
mq Terrazzo:
50
Piano:
Terra
Classe energetica:
In fase di valutazione
Stato Immobile:
Abitabile
Arredi:
Non Arredato
Tipo Soggiorno:
Soggiorno
Tipo Cucina:
Abitabile
Riscaldamento:
Autonomo
Fonte Energetica:
Metano
Destinato a residenti:
Si
Accessori
Ripostiglio
Planimetrie
Video
Mappa
Corso vittorio emanuele II , 70131 , carbonara, 36 - Bari (BA)
Cookie preference